
The Oldsmar City Council recently cast a split vote over a request to amend the development agreement for a proposed town home community on St. Petersburg Drive.
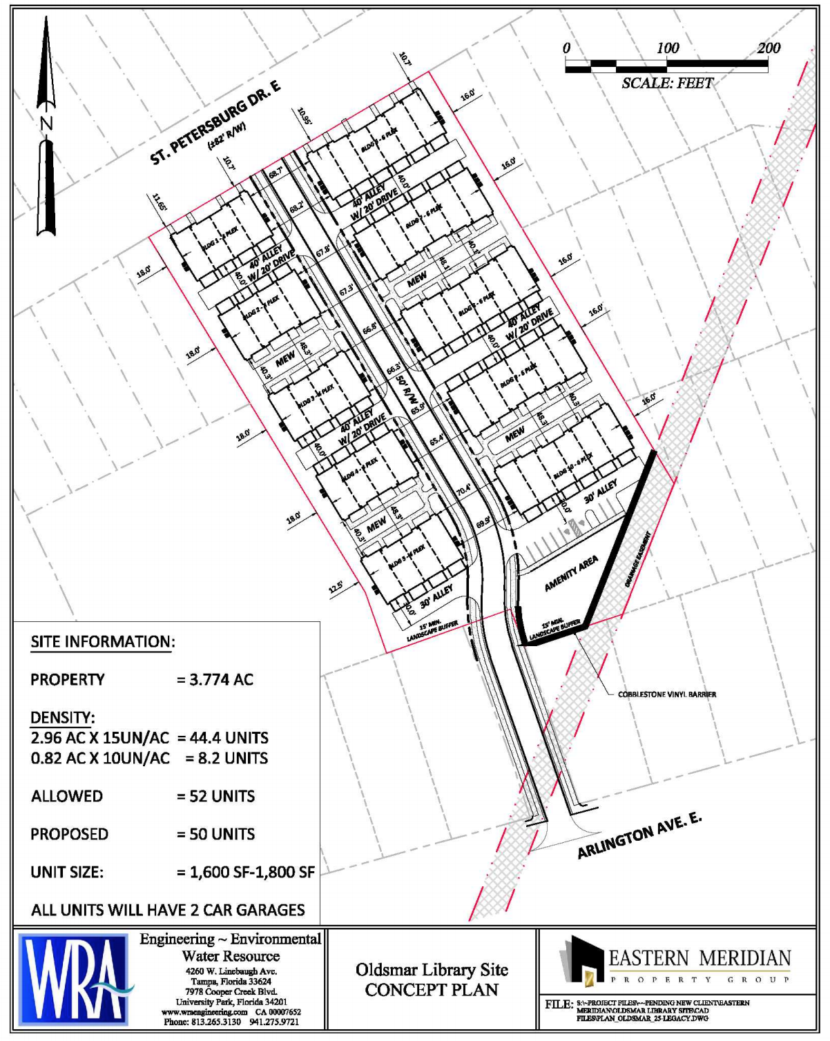
Developer Tony Tanico of Oldsmar Towns LLC. previously asked for an extension of the agreement that called for a 50-unit, Mediterranean style development on a vacant four-acre lot adjacent to the Oldsmar Public Library in February.
This came on the heels of a pair of contentious meetings regarding the sale price of the property.
But after his builder was bought out, Tanico was forced to find another construction company to work with, and the resulting partnership led to changes to the architectural style, something that didn’t sit well with city officials.

“I hate to say it, and no disrespect, but to me it looks like any town home in Anywhere, USA,” Mayor Doug Bevis said of the new Colonial Revival design when the agenda item was addressed on Tuesday, May 15.

That comment, and similar remarks from council and staff, caused Tanico to reply with a single word—”Ouch”—and led to a lengthy back-and-forth between city officials and the developer.
During the discussion, Tanico noted the new design adheres to the city’s code, and he pointed out the new plans don’t veer too far from the original, with deeper, two-story units featuring slightly smaller floor plans (1,600-1,800-sft vs 1,600-2,100-sft.) replacing the old three-story layout.
However, he conceded the original design was more appealing, architecturally.
“I understand everybody fell in love with that Mediterranean Revival , three-story building,” Tanico said of the original, six-plex design. “I did too. It was beautiful.”

“But sometimes we want what we can’t have, and due to circumstances beyond all of our control, that one’s off the table. It’s not going to happen.”
Planning and Redevelopment Director Marie Dauphinais suggested the concept would be more palatable if it incorporated some traditional Colonial style architectural elements, including full length porches, functional porticos, balconies and decorative pillars.
With urging from the council, Tanico agreed to make changes to the design if they permitted him the one-year extension on the development agreement.
“I started this process in February of last year, so it’s been 15 months,” he said, adding “we could’ve been under construction” already if it weren’t for all the delays.”

Prior to voting on the item, Council member Gabby McGee asked Tanico a pointed question.
“My question to you is if you were only allowed to have this as your legacy, as a developer within the city, whether it was Oldsmar or any city, is this the legacy that you would want to leave here a hundred, five hundred years from now?” McGee said.

Tanico was frank with his response.
“I don’t think this is the site for a legacy building,” he said. “I don’t think it is, I don’t think it will be. It’s just not. It’s not that city.”
Tanico added perhaps he misunderstood, as he considered structures like the Sears Tower and the Empire State Building to be “legacy” buildings.
“When I hear legacy building, thats what comes to my mind,” he said. “Not the Oldsmar Library.”
Despite the many questions and concerns raised by officials, the request to amend the development agreement passed on first reading by a 3-2 vote, with Bevis and Beverland voting no.
“Absolutely not,” Beverland said when asked for his vote. “We’re not downgrading this city.”

After the meeting, the mayor spoke about his opposition to the revised project.
“I knew it was going to pass, but I had to get my vote in anyway,” Bevis said.
He added he understood the design changes were necessitated by the switch in builders, but he refused to support a project he doesn’t believe in.
“Comparing what we got last time to this time, it didn’t have a lot of zing to it,” he said.
“It just wasn’t the catalyst we were looking for to spur development in the downtown area.”
The item is scheduled to come before the council for a second and final reading on Tuesday, June 5.
Complete coverage of the St. Pete Drive town home project can be found here.

Leave a Reply